9100 PalladayElverta, CA 95626

Mortgage Calculator
Monthly Payment (Est.)
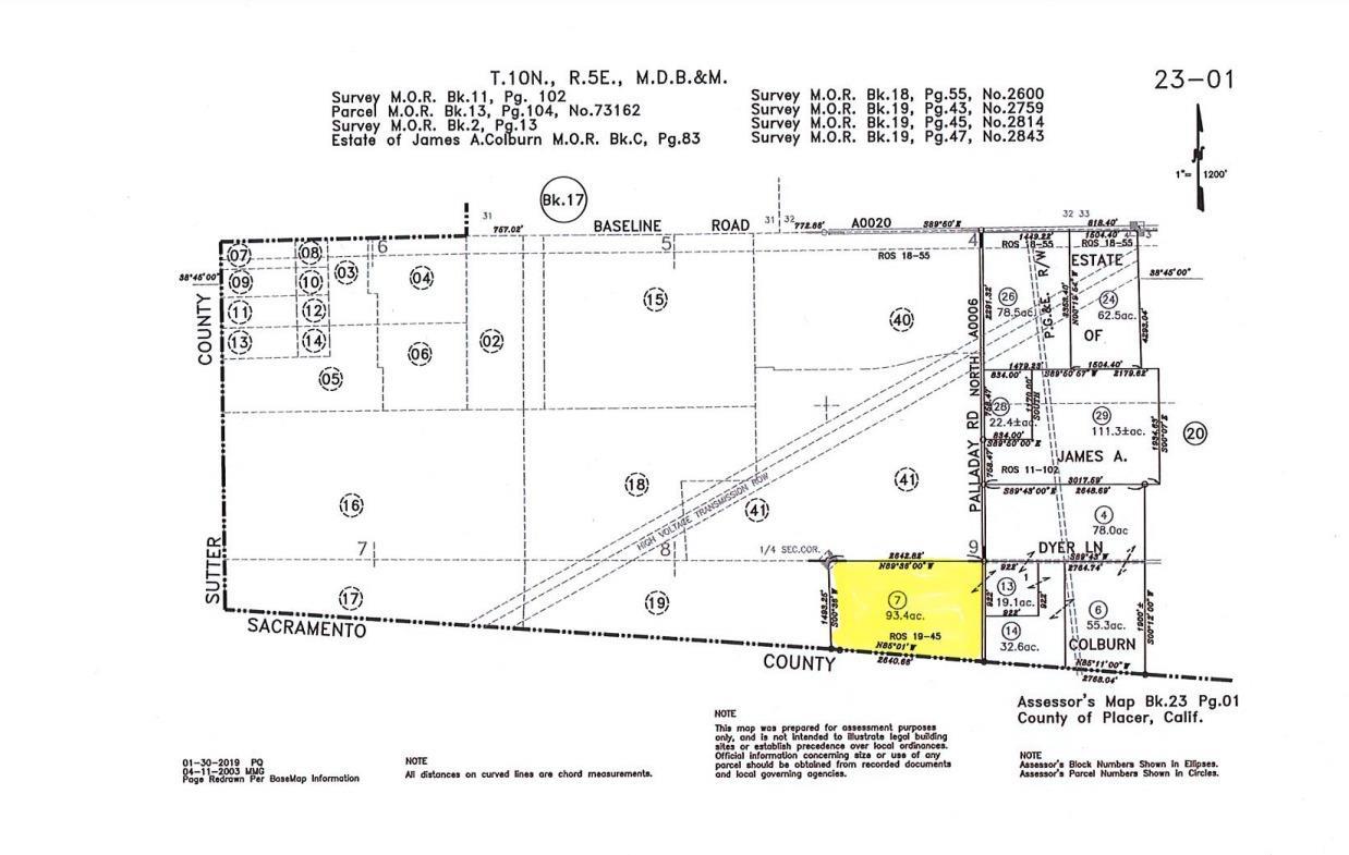
$15,923Presenting an exceptional opportunity to acquire 93.43 acres of prime residential development land located within the Placer Vineyards Specific Plan Special Planning Area (SPA). This expansive parcel is ideally situated in one of Placer County's most significant and fastest-growing master-planned communities, offering a rare chance to capitalize on the region's strong demand for new housing. Surrounded by planned infrastructure, parks, schools, and open space, the property is perfectly suited for a thoughtfully designed residential neighborhood that complements the vision of the Placer Vineyards community. With a location that balances rural charm with suburban convenience, this parcel is an outstanding choice for builders and developers seeking scale, location, and long-term value in the heart of South Placer County.
| 3 months ago | Listing updated with changes from the MLS® | |
| 3 months ago | Status changed to Active | |
| 6 months ago | Listing first seen on site |
All measurements and all calculations of the area are approximate. Information provided by Seller/Other sources, not verified by Broker. All interested persons should independently verify the accuracy of information. Provided properties may or may not be listed by the office/agent presenting the information. Data maintained by MetroList® may not reflect all real estate activity in the market. All real estate content on this site is subject to the Federal Fair Housing Act of 1968, as amended, which makes it illegal to advertise any preference, limitation or discrimination because of race, color, religion, sex, handicap, family status or national origin or an intention to make any such preference, limitation or discrimination. Terms of Use
Last checked 2026-01-25 10:01 PM PST

Did you know? You can invite friends and family to your search. They can join your search, rate and discuss listings with you.